Weeds in patches:
The location of patches of weeds should be mapped or noted now so that action can be taken in the future. You need to know where exactly they are and what weeds are present. Obvious problems include patches of wild oats, sterile brome, bits of meadow brome, blackgrass, poppy, cleavers, etc.
Once you have a map you should tackle these patches with shallow cultivation as quickly as possible post-harvest. Every seed that grows in the autumn is one less weed for future years. And it is easy enough to get hundreds of them to grow per square metre in most autumns.
With so much concern about herbicide resistance, the more that can be grown out in the stubbles, the better. By cultivating frequently, you reduce the weed seed bank but this will not necessarily make resistance go away. The risk of developing resistance is a numbers game, so the fewer weeds you have, the lower the risk will be.
It remains good practice to rogue any plants that are still present, especially if numbers are low. Long-term control is about preventing seed return to the soil.
Oilseed rape:
Check crops for desiccation stage. Some early crops may be at the point of spraying off while others may be up to two weeks away. High temperatures would speed up maturation but allow three weeks for the crop to die back. It would seem Roundup Powermax is more consistent on rape. Use plenty of water (200l/ha or more) to get glyphosate down into the canopy but avoid big droplets. Spring rape is generally in flower and looking well. Keep an eye out for high pollen beetle numbers as they can reduce flowers and pods. If an insecticide is necessary, spray very early or very late to avoid periods of bee activity.
Read more
Prices back from recent quality-driven spike
Soil health focus at Cereals 2017
Weeds in patches:
The location of patches of weeds should be mapped or noted now so that action can be taken in the future. You need to know where exactly they are and what weeds are present. Obvious problems include patches of wild oats, sterile brome, bits of meadow brome, blackgrass, poppy, cleavers, etc.
Once you have a map you should tackle these patches with shallow cultivation as quickly as possible post-harvest. Every seed that grows in the autumn is one less weed for future years. And it is easy enough to get hundreds of them to grow per square metre in most autumns.
With so much concern about herbicide resistance, the more that can be grown out in the stubbles, the better. By cultivating frequently, you reduce the weed seed bank but this will not necessarily make resistance go away. The risk of developing resistance is a numbers game, so the fewer weeds you have, the lower the risk will be.
It remains good practice to rogue any plants that are still present, especially if numbers are low. Long-term control is about preventing seed return to the soil.
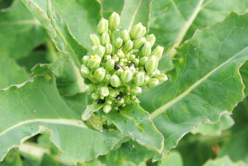
Oilseed rape:
Check crops for desiccation stage. Some early crops may be at the point of spraying off while others may be up to two weeks away. High temperatures would speed up maturation but allow three weeks for the crop to die back. It would seem Roundup Powermax is more consistent on rape. Use plenty of water (200l/ha or more) to get glyphosate down into the canopy but avoid big droplets. Spring rape is generally in flower and looking well. Keep an eye out for high pollen beetle numbers as they can reduce flowers and pods. If an insecticide is necessary, spray very early or very late to avoid periods of bee activity.
Read more
Prices back from recent quality-driven spike
Soil health focus at Cereals 2017
SHARING OPTIONS